

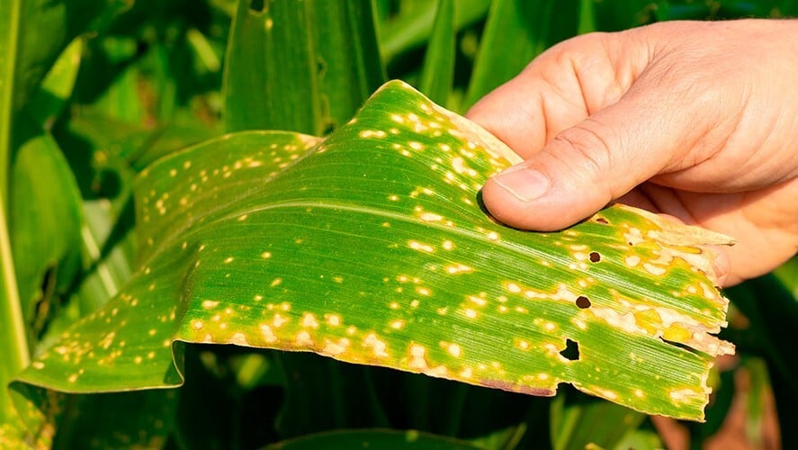
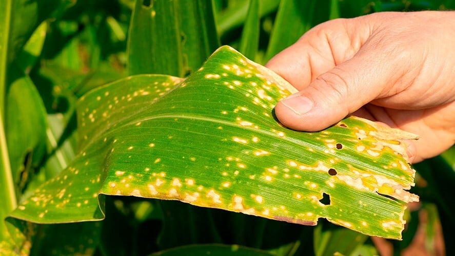
Pesquisa e informação foram as ferramentas adotadas pelo setor produtivo do Paraná, para enfrentar a cigarrinha-do-milho (Dalbulus maidis). O inseto vem causando prejuízos significativos às lavouras do grão no estado ao transmitir para as plantas doenças como enfezamento e viroses.
-
Laranja: produtores relatam alta incidência de inseto do greening em pomares
-
Embrapa desenvolve cenoura resistente a pragas
Para sistematizar esse enfrentamento, a Rede Complexo de Enfezamento do Milho (Rede CEM), formada por universidades estaduais, cooperativas, centros de pesquisa e instituições de governo, está fomentando iniciativas de manejo e controle da praga. Sua coordenação cabe à Secretaria de Estado da Agricultura e Abastecimento (Seab), Secretaria de Ciência, Tecnologia e Ensino Superior (Seti), com apoio do Sistema Faep/Senar-PR e Fundação Araucária que estão repassando R$ 4 milhões, no decorrer de três anos, para os estudos.
“Esse trabalho em rede é extremamente importante para que possamos colocar os ativos tecnológicos do Estado a serviço da sociedade. Essa parceria é de fundamental importância para dar a conectividade necessária da tríplice hélice, em que governo, academia e sociedade se articulam para resolver os problemas enfrentados no cotidiano por meio da produção do conhecimento”, avalia o secretário estadual de Ciência Tecnologia e Ensino Superior (Seti), Aldo Nelson Bona.
“Queremos levantar informações científicas que possam subsidiar o manejo futuro da cigarrinha-do-milho pelos agricultores paranaenses”, complementa Ágide Meneguette, presidente do Sistema FAEP/SENAR-PR.
No final de abril, os integrantes da rede participaram do 1º Seminário da Rede Complexo de Enfezamento do Milho, em Londrina. Na ocasião, além da troca de experiências, foram apresentados os fundamentos da iniciativa e o escopo de 12 projetos de pesquisa que serão levados a campo por diferentes instituições estaduais, além de um décimo terceiro projeto complementar conduzido pela Embrapa Milho e Sorgo.
“Os produtores rurais do estado serão os principais usuários daquilo que vai ser pesquisado pela Rede, pois o diferencial desta iniciativa é a facilidade de levar esse conhecimento mais rapidamente a campo”, avalia Débora Grimm, diretora-técnica do Sistema Faep/Senar-PR.
As 13 pesquisas estão divididas em três eixos temáticos:
- O primeiro abarca os projetos voltados ao monitoramento da presença da cigarrinha, as doenças que estão sendo disseminadas, as principais regiões afetadas e as circunstâncias ambientais que permitem seu surgimento. São três projetos de pesquisa alinhados com este eixo;
- O segundo grupo se debruça sobre os cultivares de milho com maior tolerância ao complexo de enfezamento, com três projetos alinhados a essa temática; e
- O último eixo conta com seis projetos que pretendem avaliar os melhores métodos de aplicação de inseticidas químicos e biológicos e os produtos mais eficazes no combate à cigarrinha-do-milho. A Embrapa conduzirá um projeto nos eixos 2 e 3.
Apesar da divisão, os pesquisadores envolvidos nos projetos vão realizar a troca de informações, algo fundamental em um arranjo em rede para o sucesso desta empreitada.
“Para fomentar a troca de informações entre os pesquisadores e a busca de soluções conjuntas, a cada seis meses será realizado um seminário da Rede CEM, de modo que todos os participantes tenham uma visão global do trabalho que vem sendo desenvolvido”, destaca Cleverson Andreoli, designado pela Fundação Araucária para dar suporte aos pesquisadores.
Durante os 36 meses de pesquisa, o objetivo é que as informações cheguem ao campo, para o enfrentamento da cigarrinha-do-milho, que chega a provocar perdas de até 80% em algumas lavouras. “A rede prevê ações de transferência tecnológica e divulgação dos resultados. O Senar-PR vai promover treinamento, extensão rural, enfim, ações ostensivas para levar essas informações, de maneira célere e organizada, até o produtor rural”, completa Débora.
Os ensaios de pesquisa com milho segunda safra, plantados neste início de ano, já estão instalados em seis locais do estado. Esses experimentos, relacionados aos eixos 2 e 3 da Rede CEM, devem começar a divulgar em breve resultados referentes a esta primeira safra de acompanhamento.
“É uma construção coletiva de conhecimento. Cada pesquisador conhece o projeto do colega, sabe o que ele está pesquisando e como aquilo pode contribuir ou influenciar a sua própria pesquisa. Será a soma dos esforços de cada indivíduo envolvido com essa proposta que vai determinar a qualidade daquilo que vamos entregar à classe produtiva do Paraná ao longo de três anos”, afirma Ana Paula Kowalski, do Departamento Técnico e Econômico (DTE) do Sistema Faep/Senar-PR, que acompanha os trabalhos da Rede CEM.
______________







